
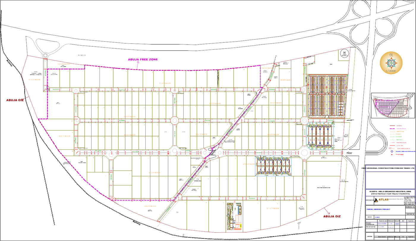
ABUJA SERBEST BÖLGESİ ve OSB / NİJERYA ( Nisan 2012 - Kasım 2021 )
PROJE
1- KSS, Depolar, Fabrika, Statik, Mekanik ve Elektrik Proje İşleri ile
Parsel İçi Altyapıların Projelendirme İşleri
Miktarı : 21 Ha
(Şubat 2021 – Kasım 2021)
2- OSB İmar Planı Tadilatı ve Etüt – Proje Mühendislik Hizmetleri İşi
Miktarı : 245 Ha
(Aralık 2018 – Kasım 2019)
3- İmar Planı ve Endüstri Bölgesi Etüt Proje Mühendislik Hizmetleri İşi
Miktarı : 245 Ha
(Nisan 2012 – Nisan 2015)








